Ураган на Гаити унес жизни 25 человек: церкви и христианские организации готовятся помогать
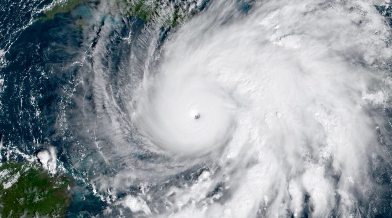
На Карибах продолжается разрушительное воздействие урагана «Мелисса», ставшего одним из самых мощных штормов в истории Атлантики. Власти Гаити сообщили о гибели как минимум 25 человек после того, как река Ла-Диг вышла из берегов и затопила прибрежный город Пти-Гоав. Мэр города Жан Бертран Сюбрэм рассказал, что многие жители не успели покинуть свои дома, когда на город обрушились потоки воды, сообщает Христианский Мегапортал inVictory со ссылкой на The Christian Post.
После разрушительного удара по Гаити ураган направился к Кубе и Багамским островам. Кубинские власти сообщили об эвакуации более 735 тысяч человек. На острове уже зафиксированы случаи обрушения домов и срыва крыш. На Кубе, Багамах и Бермудских островах объявлено предупреждение об урагане, а для Гаити и островов Теркс и Кайкос действует предупреждение о тропическом шторме. Национальный центр ураганов США предупреждает о катастрофических наводнениях и оползнях, особенно в восточной части Кубы и южных районах Багам.
На Ямайке, где «Мелисса» обрушилась ранее, последствия разрушительны: 77% острова остаются без электричества, десятки тысяч людей укрываются в убежищах. По меньшей мере один человек погиб. Ураган достиг острова как стихия 5 категории с максимальной скоростью ветра до 295 километров в час, став самым мощным ураганом, когда-либо зарегистрированным на Ямайке.
Несмотря на то, что сила урагана снизилась до второй категории, его последствия остаются крайне опасными. Синоптики прогнозируют сильные ливни и штормовой прилив высотой до двух метров в ряде районов. Ожидается, что на Ямайке в ближайшие сутки суммарное количество осадков достигнет 60 сантиметров, а в горных районах может превысить 75.
Христианская гуманитарная организация Samaritan’s Purse объявила о срочном начале миссии помощи пострадавшим и направляет команды в наиболее разрушенные районы. Представители организации назвали «Мелиссу» «самым мощным ураганом, когда-либо обрушившимся на Ямайку» и подчеркнули, что главной задачей сейчас является доставка воды, продовольствия и медицинской помощи людям, лишившимся крова.
Ожидается, что аэропорты Ямайки возобновят работу в четверг, чтобы обеспечить прибытие гуманитарных грузов и спасательных команд. Церкви региона призывают верующих молиться за жителей пострадавших стран и за тех, кто участвует в спасательных и восстановительных работах.
Сезон ураганов 2025 года уже называют одним из самых интенсивных за последние десятилетия. По мнению специалистов, рост силы и частоты тропических штормов связан с потеплением океанов и изменением климата. На этом фоне христианские организации подчеркивают важность проявления солидарности, милосердия и практической помощи тем, кто оказался в беде.
INVICTORY теперь на Youtube, Instagram и Telegram!
Хотите получать самые интересные материалы прямо на свои любимые платформы? Мы готовим для вас обзоры новых фильмов, интересные подкасты, срочные новости и полезные советы от служителей на популярных платформах. Многие материалы выходят только на них, не попадая даже на сайт! Подписывайтесь и получайте самую интересную информацию первыми!






